土地“公図”完全ガイド:不動産を購入する前に確認すべき5つのチェックポイント
不動産投資で失敗しないためには、登記簿だけでなく「公図」の確認が不可欠です。登記簿の数字だけを見て安心すると、「再建築ができない土地」や「他人の土地を通らないと入れない土地」といった、致命的なリスクを見抜けないまま購入してしまう恐れがあります。
本記事では、不動産投資初心者の方に向けて、公図の正しい見方と、購入前に必ずチェックすべき危険なサインについて解説します。
公図を正しく読み解くスキルを身につけ、リスクの低い優良物件を見極めましょう。
この記事でわかること
- 公図と登記簿の決定的な違い
- 「筆界」「地番」など公図特有の情報の見方
- 公図から読み取れる「買ってはいけない土地」の危険サイン
- 公図と現況が異なる場合の対処法
- 公図をオンラインや窓口で取得する手順
なお、公図チェックをクリアした優良物件を効率よく探すなら、専門のポータルサイトの活用がおすすめです。
空家ベースは、全国の空き家情報を掲載するポータルサイトです。投資に適した戸建て物件も多数取り扱っています。公式LINEにご登録いただくと、一般公開前の未公開情報や新着物件を定期的にお届けします。効率的に物件を探したい方は、ぜひこの機会にご登録ください。
そもそも「公図」とは?登記簿との違い
公図(こうず)とは、法務局に備え付けられている図面のひとつで、土地の位置や形状、隣接地との関係を示した地図のことです。
「登記簿(登記事項証明書)」と「公図」はそれぞれ役割が異なるため、不動産取引において土地の状況を正確に把握するには、両方の確認が必要です。
【登記簿と公図の違い】
| 資料名 | 役割・わかること | 形式 |
| 登記簿 | 所有者、面積、権利関係(抵当権など) | 文字情報 |
| 公図 | 土地の場所、形状、隣地との境界、道路付き | 地図情報 |

※参考図:登記簿(文字情報)と公図(地図情報)の対比イメージ
登記簿を見ることで「誰が所有しているか」「どれくらいの広さか」は数字と文字で把握できます。しかし、「土地がどのような形をしているか」「道路にどのように接しているか」といった物理的な位置関係は、登記簿の文字情報だけでは判断できません。
そこで必要になるのが公図です。公図を確認することで、対象の土地が道路に接している長さ(接道義務を満たしているか)や、不整形地ではないかといった、資産価値に直結する重要情報を視覚的に把握できます。
【出典:法務省:地図証明書(見本)】
【出典:法務省:登記簿(登記事項証明書)の見本】
押さえるべき公図の見方
公図には特有のルールや記載方法があります。物件のリスクを正しく判断するために、最低限知っておくべき3つの要素を解説します。
「筆界」:土地と土地の境界線。境界確定とは別物。
公図に引かれている線は、「筆界(ひっかい・ふでかい)」と呼ばれます。筆界は、登記上の土地と土地の境目を示す線です。
注意点は、「筆界」と「現地の塀やフェンス(所有権界)」は必ずしも一致しないということです。

・筆界(公図上の線):明治時代の地租改正などで決められた、公的な境界線。
・所有権界(現地の状況):隣地所有者との話し合いや、ブロック塀などで事実上認識されている境界線。
不動産投資では、公図上の線(筆界)と現地の塀の位置がズレている「越境」のトラブルが頻繁に起こります。公図はあくまで「登記上の線」であることを理解し、必ず現地での確認作業を行ってください。
「地番」:土地の番号。住所と一致しないことが多い。
公図の中に書かれている数字は「地番(ちばん)」です。地番は、土地一筆ごとに割り振られた登記上の番号であり、普段使用している「住所(住居表示)」とは異なるケースが大半です。

Screenshot
地番:土地を特定するための番号(例:123-4)。登記簿の取得や不動産取引で使用します。
住居表示:郵便物を届けるための住所(例:1丁目2番3号)。建物の場所を示します。
不動産の調査を行う際、住所(住居表示)だけで法務局へ行っても、該当する公図や登記簿を取得できない場合があります。事前に「地番」を調べておくか、法務局にある「ブルーマップ(住居表示と地番を重ね合わせた地図)」で地番を特定する手順が必要です。
【出典:法務省:地図証明書(見本)】
【参考:登記事項証明書(土地・建物)、地図・図面証明書を取得したい方:法務局】
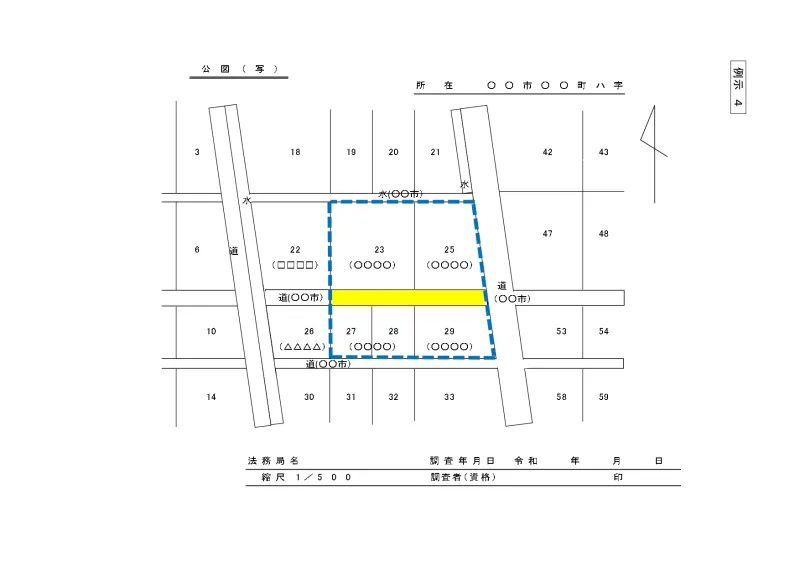
「道」「水」「共有」などの記載:重要な注意サイン。
公図には、地番の数字のほかに「道」「水」「共有」と記された区画が描かれていることがあります。これらは「無地番地」と呼ばれ、通常の宅地とは異なる扱いを受ける土地です。所有者が自治体である場合だけでなく、個人同士で共有しているケースもあり、権利関係が複雑になりやすいポイントです。
まずは、代表的な3つの記載が何を示しているのかを整理しておきましょう。
-
記載 意味・種類 主な特徴・注意点 道 赤道(あかみち) ・昔の道路、または現在も道路として扱われる土地 ・建築基準法上の道路ではない場合もある
・払い下げ手続きが必要になることがある
※“道”の土地は赤道であるケースが多いですが、自治体や個人が所有している場合もあります。
水 青道(あおみち) ・水路および水路跡 ・建築不可や制限がかかる場合がある
・水路管理者(市区町村など)の承諾が必要になるケースが多い
共有 共有地・共有私道 ・複数人が持ち分を持つ土地 ・設備工事や建築時に共有者全員の承諾が必要になることがある
・管理負担・手続きトラブルが発生しやすい
これらの表記が接する土地では、建築制限や設備工事の可否、払い下げの有無などを事前に確認しないと、購入後に大きなトラブルにつながるおそれがあります。特に「道」「水」は、公図上では道路や水路に見えても、現況が異なるケースが珍しくありません。
以下の図は、公図上における「道」や「水」、無地番地の配置例です。

【出典:財務省 北陸財務局:第3 様式・例示集】
共有と書かれた土地は特に注意
「共有」と記載された土地は、複数の所有者が持ち分を共有する「共有私道」や「共有地」であることが多く、工事・修繕・再建築の際に全所有者の承諾が必要になるなど、実務上もっともトラブルが起こりやすい部分です。
たとえば共有私道を複数の宅地が利用している場合、
・給水管を埋設する工事
・排水設備の更新
・再建築時の工事車両の進入
・舗装や補修費用の負担割合
といった点で、共有者間の調整が欠かせません。
以下の図は、共有私道を複数の宅地が利用している典型的なケースです。

共有私道に接する土地では、
・連絡の取れない共有者がいる
・承諾が得られない
・費用負担で揉める
・担保評価が下がる
といった問題が生じる可能性があります。
そのため、公図上で「共有」と記載のある土地に接する物件は、初心者ほど慎重に見極めるべき注意サインと言えます。
公図から読み取れる「危険サイン」を見抜く
公図は単なる地図ではなく、物件の資産価値を大きく左右するリスク情報の宝庫です。一見すると普通の土地に見えても、公図を確認することで「建物が建てられない」「融資が下りない」といった致命的な問題を発見できる場合があります。
投資対象として検討する際に、公図上で特に注意すべき4つの危険なサインを解説します。
①道路に接していない(=再建築不可のリスク)
最も警戒すべきサインは、対象の土地が「道路」に接していない、あるいは接している幅が狭いケースです。
建築基準法では、建物を建てるための土地は「幅員4m以上の道路に、2m以上接していなければならない(接道義務)」という厳格なルールがあります。公図上で、対象地と道路の間に細長い他人の土地があったり、そもそも道路に面していなかったりする場合、その土地は「再建築不可物件」である可能性が極めて高いです。
再建築不可の土地は、現在の建物が古くなっても建て替えができません。そのため、資産価値は著しく低くなり、金融機関からの融資もほぼ受けられなくなります。公図上で土地が道路にしっかりと接しているかを確認することは、投資の入り口として最重要のチェック項目です。
②不整形地・旗竿地の形をしている
土地の形状がいびつな場合も注意が必要です。特に多いのが、道路に接する通路部分が細長く、奥にまとまった敷地がある「旗竿地(はたざおち)」と呼ばれる形状です。
旗竿地や極端な不整形地は、重機が奥まで入れないことが多く、解体や建築の工事費用が割高になります。また、通路部分の幅が2m未満であれば、前述の再建築不可物件となります。
一方で、こうした土地は相場より安く売りに出される傾向があります。投資家としては、再建築が可能か、工事費を含めても利回りが確保できるかを慎重にシミュレーションする必要があります。
③境界線が点線(筆界未定)のまま
公図上の線は通常、実線で描かれていますが、稀に「点線」で描かれている場所があります。これは「筆界未定地(ひっかいみていち)」として表現されることがことが多く、呼ばれ、隣地との境界が確定していない可能性状態を示しています。
筆界未定地は、過去の区画整理や地籍調査の際に、所有者間の境界トラブルなどが原因で境界線を決められなかった場所です。
この状態のままでは、土地の正確な測量ができないため、分筆(土地を分けること)や地積更正登記ができません。結果として、売却が困難になったり、担保としての評価がつかず融資が受けられなかったりするリスクがあります。初心者の方は、解決に多大な労力と費用がかかるため、避けるのが無難です。
④私道や水路が関係している
対象地と前面道路の間に、細い筆(土地)や「水」と書かれた場所が挟まっているケースがあります。
これが個人の所有する「私道」や、かつて水路だった「水路敷」である場合、建物を建てる際や水道管を引き込む際に、所有者や管理者の承諾が必要になることがあります。承諾を得るために高額なハンコ代(承諾料)を請求されたり、そもそも承諾を拒否されたりするトラブルも珍しくありません。
公図を見て、道路と敷地の間に不自然なスペースや別の地番がある場合は、その土地の所有者が誰なのかを必ず確認する必要があります。
公図と現況が違う場合の確認方法
公図を確認する際、最も念頭に置いておくべき前提があります。それは、「公図は現況とズレていることがある」という点です。
現在、法務局に備え付けられている公図にの約半数は、明治時代の地租改正図時にを元に作られた「旧公図」が多く含まれており、現況とズレているケースが珍しくありません。図面(地図に準ずる図面)を元にしています。当時の測量技術は精度が低く、長い年月の間に地形が変わっていることもあるため、公図を鵜呑みにするのは危険です。
公図と現況のズレを確認し、リスクを回避するための3つの対応策を紹介します。
・法務局で地積測量図を併せて取得:
公図の精度を補完するために、「地積測量図(ちせきそくりょうず)」を取得しましょう。地積測量図は、土地の分筆登記や地積更正登記などを行う際に法務局へ提出される図面で、公図よりも精密な測量に基づいています。すべての土地に存在するわけではありませんが、これがある場合は、隣地との境界ポイントや正確な辺の長さを把握できます。
【参考:登記事項証明書(土地・建物)、地図・図面証明書を取得したい方:法務局】
・現地でメジャーを使って簡易測量:
資料だけでなく、必ず現地に足を運び、自分の手で測ることも大切です。特に重要なのが、「道路に接している長さ(間口)」です。公図上では接道義務(2m以上)を満たしているように見えても、現地でメジャーを当てて測ってみると、ブロック塀の厚みなどで有効幅が2mを割っているケースがあります。再建築の可否に関わる重大なポイントですので、現地での簡易測量は必須作業です。
・Googleマップの航空写真で確認:
現地に行く前の予備調査として、Googleマップの航空写真と公図を照らし合わせる方法も有効です。公図の形と、航空写真に写る敷地の形(屋根や塀のライン)を見比べることで、「公図には道があるのに、現況は家が建っている」「公図よりも敷地が極端に狭く見える」といった大きな矛盾に気づくことができます。
公図を使って「買っていい土地」「避けるべき土地」を見分ける
ここまで解説した公図の見方を踏まえ、不動産投資において「買うべき土地」と「避けるべき土地」の基準を整理します。価格の安さに惑わされず、公図を通して「土地の安全性」を見極めましょう。
| 判断基準 | 積極的に検討すべき土地(安全) | 避けるべき土地(ハイリスク) |
| 土地の形状 | 整形地(長方形・正方形)
建物のプランが立てやすく、建築費も抑えられます。 |
不整形地・極端な旗竿地
相場より安くても、建築コストの増加や客付けの苦戦により、 最終的な収支が悪化する恐れがあります。 |
| 接道状況 | 公道に広く接している間口が広く、
車の出し入れが容易な土地は賃貸需要も高く、 出口戦略(売却)も立てやすいです。 |
接道義務を満たしていない再建築不可であり、
融資もつかないため、初心者は手を出してはいけません。 |
| 境界線 | 境界が明確で、公図と現況が一致しており、
隣地トラブルのリスクが低いです。 |
筆界未定地(点線)境界トラブルを抱えている可能性が高く、
解決には専門知識と多大な労力が必要です。 |
不動産投資、特に初心者の方にとっては、目先の利回りの高さや物件価格の安さよりも、こうした「法的・物理的なリスクの低さ」を優先させることが不動産投資成功への近道です。
公図を確認し、もし検討中の物件が「避けるべき土地」の特徴に当てはまる場合は、購入を見送るか、不動産会社を通じて詳細な調査を行うなど、慎重な判断が重要です。リスクを事前に把握できていれば、致命的な失敗を未然に防ぐことができます。
公図の取得方法
公図は、誰でも簡単に取得することができます。所有者の委任状なども必要なく、数百円の手数料で閲覧・取得が可能です。主な取得方法は以下の2つです。
1.法務局の窓口で取得する:
全国の法務局(登記所)の窓口で申請します。地番がわからない場合でも、窓口に備え付けのブルーマップで確認したり、係員に相談したりできるため、初めての方には安心です。
2.オンラインで取得する(登記情報提供サービス):
インターネット上の「登記情報提供サービス」を利用すれば、自宅のパソコンからPDF形式で公図をダウンロードできます。窓口に行く手間が省け、手数料も窓口より安価に設定されているため、効率的に物件調査を進めたい投資家にはオンライン取得がおすすめです。
【参考:登記情報提供サービス】
まとめ
不動産投資において、公図の確認は「安く買う」ためではなく、「安全に買う」ために不可欠なプロセスです。
登記簿上の数字だけを見て判断するのではなく、公図という「地図」を読み解くことで、再建築不可や境界トラブルといった隠れたリスクを事前に回避できます。今回解説した「接道の状況」「土地の形状」「謎のスペース(道・水)」といったチェックポイントを意識し、リスクの低い優良物件を見極めていきましょう。
しかし、数ある物件の中から、公図までチェックして安全な物件を探し出すのは、多くの時間と労力がかかります。より効率的に、投資に適した物件情報に出会いたい方は、専門のポータルサイトを活用するのも賢い選択です。
空家ベースは、全国の空き家情報を掲載するポータルサイトです。投資に適した戸建て物件も多数取り扱っています。公式LINEにご登録いただくと、一般公開前の未公開情報や新着物件を定期的にお届けします。効率的に物件を探したい方は、ぜひこの機会にご登録ください。
空家ベース編集部です。空家と書いて「ソライエ」と読みます。Twitter・Instagram・公式LINEなどでも物件情報を随時配信しています。空き家を買って再生したい方、他では売れないと言われてしまった空き家をご所有の方はぜひご相談ください!
